The Planning Board met on Thursday March 12, 2026 at 7pm. They had two items of old business and four items of new business. A summary of the agenda items include:
- Tuscan Village Master Development Site Plan (North Jewel Buildings) – One two-story 7,500 sf retail building and one single-story 3,800 sf retail and restaurant building at 21 Via Toscana (Continued from 11/13/25 PB meeting)
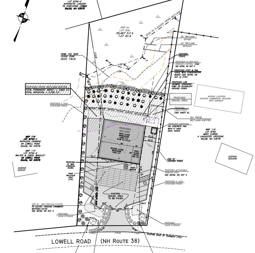
- Young Land Holdings, LLC Site Plan – 7,200 sf warehouse and office building with a conditional use permit (CUP) for reduced prime wetland buffer (amended) and reduced parking at 92 Lowell Road (Continued from 10/14/25 PB meeting)
- Dunkin’ Site Plan – CUP for digital screens along a drive-through lane at 227 North Broadway
- Bouchard Subdivision Plan – Two-lot residential subdivision at 18 Shannon Road
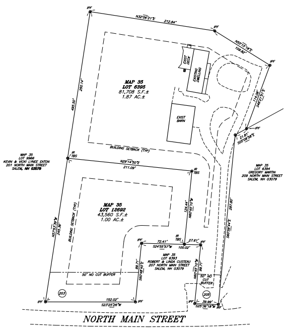
- Newton Subdivision Plan – Two-lot residential subdivision at 205 North Main St
- Mosher Subdivision Plan – Two-lot residential subdivision to create a new duplex lot at 453 North Main St
A recap of the above items is below. You can view additional materials as a part of the online agenda packet and the meeting recording at the links below.
1. Tuscan Village Master Development Site Plan (North Jewel Buildings) – The Planning Board voted unanimously (7-0) to conditionally approve the site plan and conditional use permits for parking and lot coverage, as presented. Several changes were made from the original submission of the plan back in November 2025 as a part of the third-party design review.


2. Young Land Holdings, LLC Site Plan (92 Lowell Road) – The Planning Board voted (6-1) to conditionally approve the site plan and CUPs for impact to the prime wetland buffer and for reduced parking. The plan was amended since it last was discussed at the Planning Board to address comments from the Rockingham County Conservation District. The CUP request for prime wetland buffer received recommended approval (7-0) from the Conservation Commission.

3. Dunkin’ Site Plan (Signage) – The Planning Board voted unanimously (7-0) to conditionally approve the CUP for digital screens along a drive-through lane at 227 North Broadway.


4. Bouchard Subdivision Plan – The Planning Board voted unanimously (7-0) to conditionally approve the two-lot residential subdivision at 18 Shannon Road.

5. Newton Subdivision Plan – The Planning Board voted unanimously (7-0) to conditionally approve the two-lot residential subdivision at 205 North Main St.

6. Mosher Subdivision Plan – The Planning Board voted unanimously (7-0) to conditionally approve the two-lot residential subdivision to create a new duplex lot at 453 North Main St.

The Planning Board meets the second and fourth Thursday of the month at 7pm in the Salem Town Hall Knightly Meeting Room. Residents are welcome and encouraged to attend the meeting or watch on Salem Community Television which is livestreamed and recorded.